Понимание и контроль прусаков: Пособие для домовладельцев
Трудно представить насекомое, к которому человек относился бы с такой же степенью отвращения, как к прусакам! Избавиться от прусаков - естественное желание каждого, кто с ними сталкивается. Кто такие прусаки и откуда пошло такое название? "Прусаки" - это народное название рыжего таракана (Blattela germanica), одного из двух видов тараканов, характерных для фауны Украины, другой вид - черный таракан (Blatta orientalis). Отметим, что прусаками рыжих тараканов называют только на территории постсоветских стран.
Прусаки: История происхождения названия
Тараканы, которых часто называют «прусаками» в Украине и других славянских странах, на самом деле являются представителями вида Blattella germanica — немецкого таракана. Интересно, что несмотря на название, этот вид не имеет прямой связи ни с Германией, ни с Пруссией. Так откуда же взялось это название?
Название«прусаки» происходит от исторического региона Пруссия, который сейчас находится на территории современной Польши и Германии. В средневековье Пруссия была заселена прусскими племенами, а с XIII века — под властью Тевтонского ордена. Со временем регион стал частью Германской империи.
Однако, связь между названием насекомого и регионом является больше лингвистической чем исторической путаницей. Существует несколько теорий, почему именно этот вид таракана получил название «прусак». Одна из версий заключается в том, что тараканы распространились по Европе с военными походами, и из-за того что Пруссия была известна своей военной мощью, люди могли ассоциировать этих незваных «завоевателей» с прусскими воинами.
Другая теория говорит о торговых путях, через которые тараканы могли попасть в разные уголки Европы, включая и Российскую империю, где они получили название «прусаки». Это могло произойти из-за того, что товары часто приходили из Пруссии, а вместе с ними и нежелательные насекомые.
Но в Германии наоборот, считают, что рыжих тараканов в Пруссию завезли именно из России, немцы рыжих тараканов называют «русаками».
Значение названия сегодня
Несмотря на происхождение названия, термин «прусаки» остается популярным в народной этимологии и часто используется в Украине для обозначения тараканов домашних. Это слово стало синонимом нежелательных гостей в доме, которые трудно вывести и которые могут принести немало неприятностей.
Прусаки - Идентификация, экология, строение тела, жизненный цикл.
Прусаки относятся к насекомым с неполным циклом превращения. Это означает, что их жизненный цикл представлен яйцом, личинкой, которая линяет 5-6 раз, и взрослым насекомым (имаго). Личинки по внешнему виду очень напоминают взрослых особей, только намного мельче.
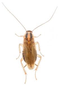
Тело прусаков уплощенное, более или менее овальной формы. Голова подвижная, плоская, с ротовым аппаратом грызущего типа. Пара длинных усиков — характерная особенность этих насекомых. Прусаки имеют крылья, но способность к полету они потеряли. Как же хорошо, что они не летают!
Прусаки — ночные, теплолюбивые и влаголюбивые насекомые. Оптимальная температура для их развития 22-27°С, при показателях температуры -5°С насекомые погибают. Как рыжие, так и черные тараканы очень требовательны к наличию воды. Таракан может голодать более 1,5 месяцев, но без воды этот срок сокращается до недели. Всеядные, едят, буквально, все! Даже такие непривлекательные на наш взгляд «продукты» как бумага, полиэтилен или старая кожа.
Прусаки — колониальные вредители.
Живут наши тараканы большими колониями, на 70-80% состоящими из неполовозрелых особей (личинок). Самка откладывает до 50 яиц в специальную капсулу — оотеку, которую всегда носит с собой (прикреплена к заднему концу брюшка) и только после созревания яиц оотека отпадает. За свою жизнь самка откладывает до 10 оотеков.
Вылупившиеся личинки мелкие, до 3 мм в длину, белого цвета. В процессе роста личинки несколько раз линяют, каждый раз сбрасывая свой хитиновый панцирь. Личинка, которая только что полиняла — белого цвета, со временем ее панцирь темнеет. Этот факт развеивает миф о белых тараканах-мутантах! Развитие одного поколения прусаков составляет 2-4 месяца, в зависимости от температуры окружающей среды. Продолжительность жизни взрослых особей составляет 20-30 недель.
Прусаки — способность к расселению.
Тараканы очень быстро передвигаются, легко проникают в щели, трещины и т.д. Обладают очень высокой способностью к расселению. Ученые проводили эксперимент, когда выпустили специально «меченых» прусаков на площадке возле мусоропровода на 1 этаже 9-ти этажного жилого дома и через 9 дней насекомых обнаружили везде: и на 9 этаже, и в подвальном помещении!
Основной причиной появления тараканов у вас в доме является соседняя квартира или «незащищенные» вентиляционные, коммуникационные каналы. В редких случаях — мы сами заносим насекомых с разнообразными вещами: посылки, приезд из командировки, больницы и т.п.
Прусаки - как отличить от черного таракана.
Как уже упоминалось ранее, в нашей местности характерными являются 2 вида тараканов: рыжий и черный. Основное отличие видов заложено в их названии. Различаем по цвету! Также следует отметить, что черный таракан значительно крупнее рыжего сородича: 18-30 мм против 10-14 мм. Часто клиенты, обращаясь в нашу компанию, утверждают, что замечали черных тараканов, но небольшого размера, до 1 сантиметра
Отвечаем: это не черные тараканы, это личинки прусаков старшего возраста, они имеют темную окраску. Некоторые энтомологи причисляют к характерным особенностям черного таракана его нежелание «селиться» выше 5 этажа. Но мы не можем согласиться с таким утверждением, ведь в своей профессиональной деятельности сталкивались с черными тараканами, и на 8, и на 9 этаже. Максимальный этаж, на котором мы встречали черных тараканов был 12!
Как вы думаете, кто основной враг черного таракана? Прусаки!!! Они поедают оотеки черных тараканов, не позволяя своим черным сородичам увеличивать популяцию. К «плюсам» черных тараканов отнесем и то, что их никогда не бывает много, благодаря чему с ними проще вести борьбу.
Прусаки и проблема миграции.
Другие виды тараканов на территорию Украины могут попасть только случайно. Вспоминается 2021 год, когда активные военные действия Талибана вызвали большой поток беженцев из Афганистана. Некоторые приехали и в Украину. Жили они, в основном, в гостиницах или арендованных квартирах. Вместе с вещами беженцы привезли и привычных для себя американских тараканов (Рeriplaneta americana). Персонал и администраторы отелей были в полном шоке, когда увидели огромных тараканов (длина американского таракана может достигать 4 сантиметров), которые еще и способны к коротким перелетам!
Наш корпоративный Viber пестрел фотографиями американских тараканов в разных ракурсах и сообщениями: «Что нам делать?! У нас истерика!». Мы, как только могли, успокаивали клиентов, а потом: приехали — провели дезинсекционные мероприятия — ликвидировали проблему! Мы не утверждаем, что каждый беженец из Афганистана привез с собой американских тараканов, но такие не единичные случаи случались.
Прусаки - Проблемы, которые они создают
Кроме того, что прусаки вызывают отвращение и дискомфорт, они также могут переносить патогены, которые могут вызвать болезни, а именно пищевые отравления, диарея и аллергии. Они также могут повреждать продукты, упаковку и электронику, пережевывая материалы для своих гнезд.
Прусаки — это механические переносчики инфекционных и паразитарных заболеваний! Возбудители дизентерии, брюшного тифа, холеры, туберкулеза, энтеробиоза и многих других инфекций насекомые с легкостью переносят на своих лапках (или с экскрементами) из одного места в другое, обильно загрязняя патогенными микроорганизмами свое жизненное пространство и наши с вами продукты! Известны случаи заползания прусаков в ушной проход, тогда без квалифицированной медицинской помощи уже не обойтись.
Прусаки: Контроль и предотвращение
Санитария
Чтобы избавиться от тараканов, нужно начать с себя!
Самый важный шаг в предотвращении появления прусаков — это поддержание чистоты. Не оставляйте еду на кухонных столах, регулярно выбрасывайте мусор и держите поверхности сухими.
Никаких оставленных крошек, рассыпанного сахара или муки!
Чистота — залог здоровья! Такое утверждение подходит и для прусаков, точнее их отсутствия! Очень важно систематически проводить влажную уборку. Дело в том, что экскременты прусаков содержат аттрактант, который привлекает себе подобных. Прусак как бы «говорит» другим: «Все сюда! Здесь нам будет хорошо!».
Также регулярное проведение влажной уборки ликвидирует проблему запаха. Когда в квартире большая численность прусаков, помещение приобретает специфический запах. Возможно на появление этого неприятного запаха может влиять и тот факт, что прусаки каждые 15 минут выпускают газы. А когда насекомых много, суммарный объем продуктов метаболизма увеличивается. Но все же основной причиной появления специфического запаха являются экскременты прусаков. Думаем, некоторые из вас сталкивались с этим запахом, например, при покупке квартиры на вторичном рынке или арендовали жилье.
Как же понять, какова численность прусаков? Когда тараканов замечаем и днем, а не только ночью, или прусаки появились и в жилых комнатах — численность высокая. Это уже большая проблема, и ее надо как можно быстрее решать.
Устранение доступа к воде
Поскольку прусаки нуждаются в воде, устранение любых источников влаги является ключевым. Проверьте на утечку под раковинами, ванными и бытовой техникой.
Никакого капания крана на кухне! Ограничиваем, по мере возможности, насекомых в наших продуктах питания и в воде! Обращаем ваше внимание, что прусаки очень любят сухой корм для животных! Не оставляйте без надобности данные «вкусности» в тарелочках любимых домашних животных.
Герметизация
Закупорьте все трещины и отверстия в доме, чтобы предотвратить вход и гнездование прусаков.
Прусаки - проведение дезинсекции.
Использование инсектицидов:
Если проблема уже существует, могут понадобиться инсектициды. На данном этапе вы оказываетесь перед выбором: самостоятельно провести обработку или обратиться к специализированным службам. Первый вариант, на наш взгляд, целесообразно выбирать при невысокой численности тараканов.
Если вы решили самостоятельно осуществить дезинсекцию, рекомендуем использовать средства в виде геля, пищевых приманок. Вы можете сами приготовить приманку на основе борной кислоты, вот несколько рецептов или приобрести инсектицидный гель. С полной ответственностью советуем использовать гель «Адвион». Данный препарат мы также применяем в своей профессиональной деятельности и утверждаем, что в данной нише инсектицидов это самое эффективное средство для борьбы с тараканами, представленное на рынке Украины, то того, еще и самое безопасное.
Заключительное слово
Прусаки — это не только неприятность, но и потенциальная угроза здоровью. Поддержание чистоты и санитарии в доме является лучшим способом предотвратить их размножение. Если вы сталкиваетесь с серьезной инфестацией, не сомневайтесь обратиться за помощью к профессионалам.
Сейчас есть широкий выбор компаний, которые проводят дезинсекцию. Вы можете обратиться за помощью к нам — компании «Дезснаб», ведь мы имеем огромный опыт в сфере проведения дезинсекции, дератизации, дезинфекции (работаем с 1998 года), штат предприятия состоит из квалифицированных специалистов, биологов, энтомологов, применяем различные методы дезинсекции и профессиональное оборудование, используем только препараты, которые имеют регистрацию в Министерстве здравоохранения Украины и разрешены для использования в среде жизнедеятельности человека. Выбор остается за вами!
Положительно повлияет на эффективность борьбы с прусаками проведение одномоментной дезинсекционной обработки вашими соседями (смежными квартирами). Мы знаем, что крайне трудно уговорить соседей на такую обработку (по нашей статистике это удается около 5% наших клиентов), но попробовать нужно.
